碧南市堀方町3丁目
販売価格1,475 ~ 1,693万円
- 敷地面積
- 142.37~159.97m²(43.06~48.39坪)
- 所在地
- 愛知県碧南市堀方町3丁目74番
- 販売区画数
- 5/7区画
- 学校区
- 碧南市立中央小学校/碧南市立中央中学校
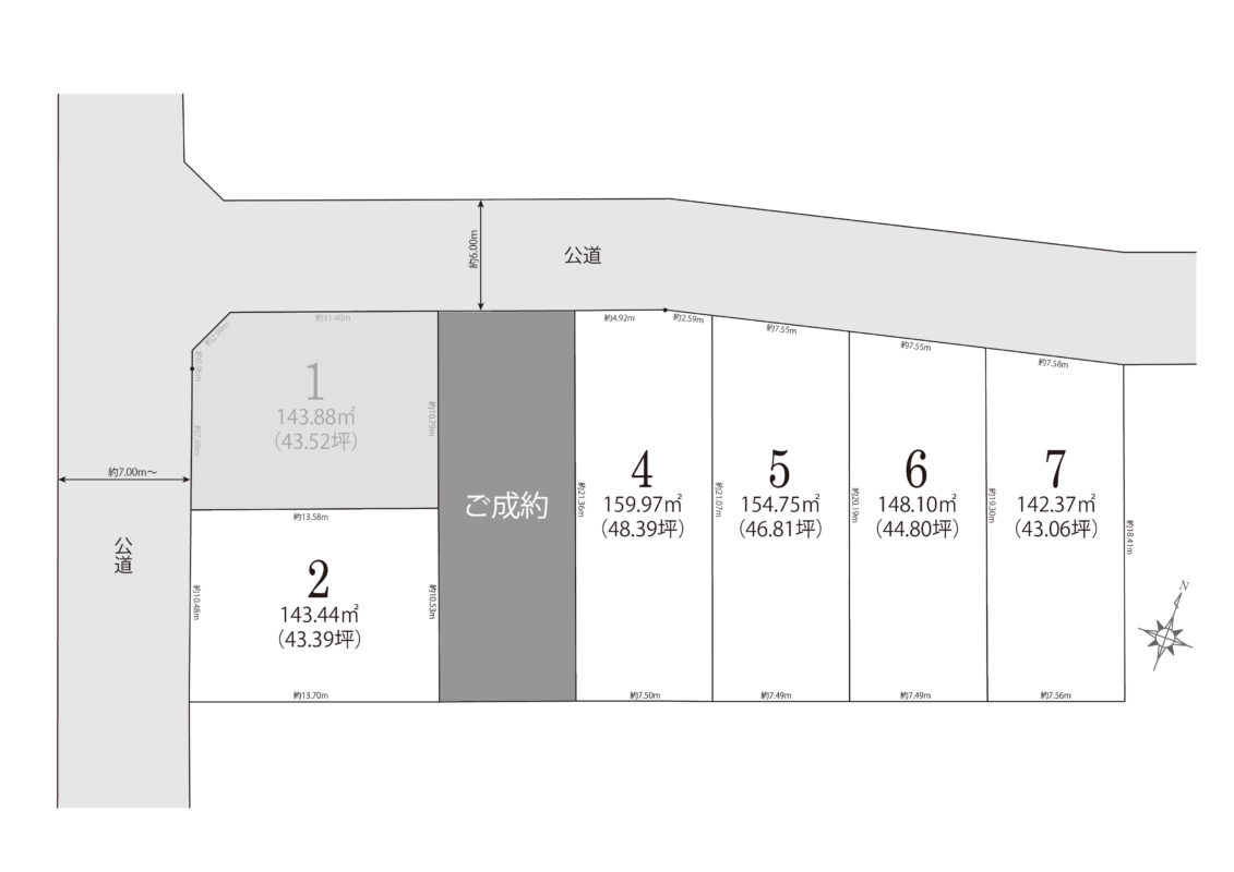
BLOCK PLAN区画図
| 区画 | 敷地面積 | 販売価格 |
|---|---|---|
| No.2 | 143.44 m²(43.39坪) | 1,475 万円 |
| No.4 | 159.97 m²(48.39坪) | 1,693 万円 |
| No.5 | 154.75 m²(46.81坪) | 1,638 万円 |
| No.6 | 148.10 m²(44.80坪) | 1,568 万円 |
| No.7 | 142.37 m²(43.06坪) | 1,507 万円 |
POINT見どころ
碧南市堀方町で
理想の暮らしを叶えませんか?
分譲地
閑静な分譲地(全7区画)
駅まで
最寄りの「新川町」駅まで徒歩約10分の立地
アクセス
刈谷市へのアクセスも良好です。
環境ポイント
✓
美しく区割りされた造成地
✓
駅・買い物・小中学校・公園が すべて徒歩10分圏内
✓
静けさと利便性、どちらも叶える 穏やかな住宅街
✓
前面道路約6m
建物の標準仕様

長期優良住宅仕様

「許容応力度計算」を実施!
耐震等級3

太陽光発電システム
停電時も安心してお使いいただけます

「Kダンパー」
国土交通大臣認定の耐震×制震装置
OUTLINE物件概要
| 所在地 | 愛知県碧南市堀方町3丁目74番 | ||
|---|---|---|---|
| 交通 | 名鉄三河線「新川町」駅 徒歩約10分(約750m) | ||
| 価格 | 1,475 万円~ | 面積 | 142.37m²(43.06坪)~ |
| 総区画数 | 7 | 販売区画数 | 5 |
| 建ぺい率 | 60 % | 容積率 | 200 % |
| 用途地域 | 準工業地域 | 地目 | 宅地 |
| 都市計画 | 市街化区域 | 学校区 | 碧南市立中央小学校/碧南市立中央中学校 |
| 接道状況 | 北側公道幅員 約6.0m、西側公道幅員 約7.0m | 私道負担 | なし |
| 国土法届出 | なし | セットバック | なし |
| 他の法令上の制限 | - | 仲介手数料 | あり |
| 引渡日 | 相談 | 現況 | 造成完了 |
| 取引態様 | 一般媒介 | 土地権利 | 所有権 |
| 建築条件 | 付き | ||
| 設備 | 中部電力、上水道、公共下水、都市ガス | ||
| 備考 | メーター設置費用、水道加入者分担金、下水道受益者負担金が別途発生いたします。 地盤改良が必要な場合、費用は別途必要になります。 敷地に電柱が入る可能性があります。 仲介手数料(物件価格の3%+6万円+消費税)が発生します。 詳しくはスタッフまでお問い合わせください。 |
||
ENVIRONMENT周辺環境
-

名鉄三河線「新川町」駅
徒歩約10分(約750m)
普通電車が1時間に4本停車する駅。知立方面は5時台~23時台まで運行します。刈谷駅までの乗車時間は約19分です。
-

社会福祉法人一雅会 碧のうさぎ保育園
徒歩約10分(約750m)
0歳児(6か月)~5歳児が対象。7:30~19:45の間でご家庭の状況に合わせて保育時間の調整が可能です。
-

碧南市立中央小学校
徒歩約10分(約800m)
異学年交流等で社会性を育成。友達と一緒に考えて解決していく力の育成に努めます。
-

碧南市立中央中学校
徒歩約4分(約280m)
校訓は『敬と愛』。 部活や課外活動を応援しやすい近距離で◎
ACCESSマップ
Googleマップの拡大地図にピンが
表示されない場合がございます。
Reference plan参考プラン
No.7
間取りプラン
_No7当込プラン-645x800.jpg)
プラン概要
| 間取り | 3LDK+S |
|---|
| 延床面積 | 108.47m²(32.81坪) |
|---|
MAILFORM来場予約・資料請求
※ GW・夏季・冬季の長期休業期間を除き、ご予約を承っております。